Konference: 2006 XXX. Brněnské onkologické dny a XX. Konference pro sestry a laboranty
Kategorie: Chemoterapie
Téma: Novinky v protinádorové chemoterapii a v bioterapii
Číslo abstraktu: 042
Autoři: Katarína Figová; MVDr. Jan Hraběta; prof. MUDr. Tomáš Eckschlager, CSc.
Cieľom našej práce bolo získať prvé informácie o správaní sa a pôsobení prirodzeného onkolytického reovírusu na nádorové bunky in vitro a o možnosti jeho kombinácie s cytostatikami. Reovírus serotypu 3, Dearing, je prirodzene sa vyskytujúci nepatogénny nemodifikovaný vírus, ktorý využíva aktivovanú Ras signálnu dráhu (alebo jej časť) nádorových buniek na svoju replikáciu, čím spôsobuje lýzu svojho hostiteľa. Aktivácia Ras onkogénu ovplyvňuje bunkové antivírusové mechanizmy špecifickým odstránením translačného bloku pre vznik reovírusových transkriptov. Nenádorové bunky však reovírus neovplyvňuje, a preto nevyvoláva manifestné ochorenie. V prírode sa vyskytuje v stojatých, tečúcich i odpadových vodách a vo veku 30 rokov asi polovica obyvateľstva nesie proti tomuto vírusu protilátky. Taxonomicky patrí do rodiny Reoviridaemá segmentovaný genóm pozostávajúci z 10 molekúl RNA kódujúcich 3 neštrukturálne a 8 štrukturálnych proteínov, je stabilný, odolný voči zmenám pH i teplotným výkyvom. V týchto dňoch prebiehajú klinické štúdie fázy I a II s reovírusom (Reolysin).
Metódy
Na všetky experimenty sme použili Reovírus serotypu 3 kmeň Dearing (použitý vírus je identický s Reolysinom,s ktorým už boli ukončené 3 štúdie a 3 dalšie prebiehajú, ale nebol schválený pre použitie v klinickej štúdii). Použité linie – MK-16, TC-1 – modelové myšacie onkogénne bunkové línie pripravené transfekciou génom E6/E7 ľudského papiloma vírusu typu 16 (HPV 16) a aktivovaným H-ras onkogénom. Od ľudských mozgových nádorov odvodené línie – jedna v našom laboratóriu pripravená línia odvodená od glioblastoma multiforme a línia odvodená od meduloblastómu – ATCC HTB 186 (Daoy). Ako kontrolu sme použili normálne ľudské fibroblasty.

Účinok reovírusu na bunky sme hodnotili mikrokinematografiou a MTT testom. MTT test je založený na redukcii žltého solubilného MTT na modrý nerozpustný formazán na mitochondriálnej membráne živých buniek viz obr 1. Zafarbenie sa vyhodnocuje spektrofotometricky pri vlnovej dĺžke 570nm a hodnota absorbancie roztoku odpovedá množstvu prežitých buniek. Výsledky sme vyjadrovali v percentách kontroly neovplyvňovanej vírusom ani cytostatikami. Výsledky sú priemerom ôsmich paralelných meraní. Porovnávali sme účinok samotného reovírusu a účinok reovírusu v kombinácii s cytostatikom v tkanivovej kultúre, ku ktorej bola pridaná cisplatina alebo vinkristín v množstve menšom než IC50.
Výsledky a závery
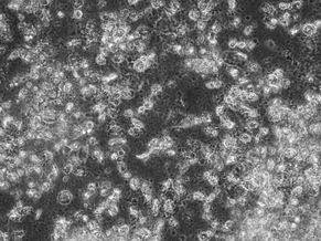
Účinok vírusu na modelové línie a normálne ľudské fibroblasty ukazujú mikrofotografie tkanivových kultúr 24, 48 a 96 hodín po aplikácii vírusu a kontrolnú kultúru odpovedajúcu 96 hodinám (obr. 2 a, b, c, d). Účinok vírusu v desiatkovom riedení na bunky mozgového nádoru hodnotený MTT testom ako % negatívnej kontroly (priemer s.d.) ukazuje obr. 3. Reovírus serotypu 3, kmeň Dearing, mal silné cytotoxické účinky na všetky testované línie s výnimkou normálnych ľudských fibroblastov.
Obr. 2
2Amedulloblastom kultivovaný 96 hod s reovirusom. 2Bnormálne ľudské fibroblasty kultivované 96 s reovirusom.
2C – medulloblastom kultivovaný 96 hod bez reovirusu. 2Dnormálne ľudské fibroblasty kultivované 96 bez reovirusu.

Účinok reovírusu spolu so stabilnou koncentráciou vinkristínu alebo cisplatiny (cytostatiká bežne používané v liečbe mozgových nádorov) a samotných cytostatík na bunky mozgových nádorov hodnotený MTT testom ako % negatívnej kontroly ukazuje obr. 4. Dokázali sme synergické cytotoxické pôsobenie reovírusu s cytostatikami. Toto doposiaľ nepublikované zistenie sa zdá nádejné pre klinickú prax.
Literatúra
- Smahel M et al.: Br J Cancer. 2001 Feb
284(3):374-80.
- Yang WQ et al.: Cancer Res. 2003 Jun
1563(12):3162-72.
- Chiocca EA et al.: Cancer J. 2003
May-Jun9(3):167-79.
- Russell SJ.: Cancer Gene Ther. 2002 Dec9(12):961-6.
Práca vznikla za finanč nej podpory GA ČR 301/05/2240 a MŠMT VZ č .0021620813.
Datum přednesení příspěvku: 12. 5. 2005
